|
Anfang September 2017 bildete sich über dem Ostatlantik aus einer tropischen Welle der Hurrikan "Irma". In westlicher Richtung
zog der Wirbelsturm bis zum 5.9. bis zu den Leeward Inseln. Dabei konnte sich "Irma" zu einem sehr gefährlichen Hurrikan
der höchsten Wirbelsturmkategorie 5 auf der Saffir-Simposn-Skala mit mittleren Windgeschwindigkeiten von 160 kn (297 km/h)
verstärken. Am 06.09. traf "Irma" mit voller Wucht auf mehrere Inseln der kleinen Antillen und richtete katatstrophale
Schäden an. Die weitere Zugbahn führte den Sturm an Purto Rico und Hispaniola vorbei in Richtung Kuba. Leicht abgeschwächt (immer
noch Kategorie 5) machte "Irma" am 09.09. Landfall im Norden von Kuba und zog anschließend entlang der Küste weiter nach
Nordwesten. Dabei nahm die Intensität ab, sodass der Hurrikan beim Verlassen der kubanischen Küste noch als Kategorie 3 Sturm eingestuft wurde.
Ein Schwenk auf eine nördliche Zugbahn führte Hurrikan "Irma" in der Folge nach Flordia, wo am 10.09. zunächst in den Flordia Keys und später
im Südwesten des amerikanischen Bundesstaates ein Landfall als Kategorie 4 bzw. Kategorie 3 Hurrikan erfolgte. Nach dem Landfall
in Florida schwächte sich "Irma" reibungsbedingt und ohne den Nachschub des warmen Ozeans rasch ab.
Hurrikan "Irma" richtete schwere Schäden von über 50 Milliarden US Dollar an. Besonders heftig traf es die Leeward Islands,
wo einzelne Inseln fast komplett zerstört wurden. In den USA gab es historische Überschwemmungen in der Region um Jacksonville und
schwere Schäden durch Orkanböen im gesamten Bundesstaat Florida.
Durch den Wirbelsturm kamen bei den insgesamt 7 Landfalls bisher mindestens 81 Menschen ums Leben gekommen, 38 davon in den USA. "Irma" stellte mehrere Rekorde
auf, u.a. für die längste Dauer von Windgeschwindigkeiten von mindestens 295 km/h in einem tropischen Wirbelsturm (37 Stunden).
Entstehung und Entwicklung
|
Ocean Heat Content 04.09.
© RSMAS |
Wie die meisten Hurrikans über dem Atlantik im September ist Hurrikan "Irma" aus einer tropischen Welle entstanden, welche am 27.08.
über der Westküste Afrikas lag. Die mit der Welle verbundenen Schauer und Gewitter konnten sich an den nächsten beiden Tagen über dem
Ostatlantik besser organisieren. Dies führte dazu, dass sich eine eigenständige Zirkulation ausbildete und anhand der Satellitendaten
am 30.08. ein mittlerer Wind von 45 kn (83 km/h) geschätzt wurde. Das System wurde als tropischer Sturm eingestuft und bekam den Namen "Irma".
Am Folgetag intensivierte sich "Irma" sehr schnell binnen 12 Stunden von einem tropischen Sturm zu einem Katgegorie 3 Hurrikan.
Die Windgeschwindigkeiten stiegen in diesem Zeitraum von 60 kn (111 km/h) auf 100 kn (185 km/h), der Bodendruck sank von 997 hPa um 30 hPa auf
967 hPa. "Irma" verlagerte sich in westlicher Richtung über dem Atlantik und behielt am 2.9. insgesamt die Stärke des Vortags bei (einzelne Schwankungen
zwischen Cat 2 und Cat 3). Auch am darauffolgenden Tag blieben die Winde bei ca. 95 - 100 kn (176 km/h - 185 km/h). Abgelengt durch die großräumige
Umgebungsströmung veränderte "Irma" ihren Kurs von einer westlichen bis nordwestlichen Zugrichtung auf eine südwestliche Zugbahn.
Dies brachte den Sturm am 03.09. bei unveränderter Intensität auf die geogrphische Breite der Kleinen Antillen. Am 04.09. erreichte
"Irma" ein Gebiet mit deutlich wärmerem Meerwasser (29 °C) und erhöhtem Wärmegehalt des Meerwassers, sodass sich der Hurrikan weiter intensivieren konnte.
Der Mittelwind nahm von 100 kn (185 km/h) auf 115 kn (213 km/h) zu, was die Einstufung auf der zweithöchsten Wirbelsturmkategorie 4 zur Folge hatte.
Der Hurrikan stellte sich zu diesem Zeitpunkt als sehr gut organisierter Sturm mit einem ausgebildeten Auge und spiralförmigen Regenbänder dar.
Das Ausströmen in den oberen Troposphärenschichten war zu allen Seiten hin gut ausgeprägt und die Umgebungbedinngungen für eine weitere
Intensivierung günstig. "Irma" war am 04.09. ein Hurrikan mittlerer Größe, Orkanböen reichten bis über 200 km vom Zentrum entfernt.
|
Satellitenbilder Hurrikan "Irma" | Quelle: NASA Worldview |
 |
 |
 |
 |
 |
 |
| 30.08.2017 |
31.08.2017 |
01.09.2017 |
02.09.2017 |
03.09.2017 |
04.09.2017 |
|
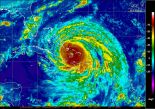
SST und Shear 05.09.
© CIMSS |
Die für eine Verstärkung von tropischen Wirbelstürmen günstigen Bedingungen am 05.09. (Meeresoberflächentemperatur von 29 °C, geringe
vertikale Windscherung von 5 - 10 kn und zunehmende Umgebungsfeuchte) führten bei "Irma" zu einer rapiden Abnahme des
Bodendrucks von 943 hPa auf 916 hPa in 24 Stunden und einer folglichen Zunahme des Mittelwinds in der Augenwand von 120 kn (222 km/h) auf 160 kn (296 km/h).
Damit hatte sich "Irma" zu einem extrem gefährlichen Kategorie 5 Hurrikan entwickelt und geht in die Geschichte als einer der stärksten atlantischen
Wirbelstürme überhaupt ein. Auf den Satellitenbildern ist das große Auge von "Irma" gut ersichtlich. Die Gewitter in der Augenwand reichten
teilweise bis 16 km hoch und wiesen sehr kalte Wolkenoberflächentemperaturen
auf. Ein Radargerät der Tropical Rainfall Measuring Mission (TRMM) der NASA maß eine Radarreflektivität von 80 dBz
in den stärksten Gewittern.
|
Satelliten- und Radarbilder am 5. Spetember | Quellen: CIMSS,
Earthobservatory NASA,
NOAA Hurricane Hunter,
Meteo France,
TRMM |
 |
 |
 |
 |
| 05.09., 11.15 UTC |
05.09., 15.15 UTC |
05.09., 18.15 UTC |
05.09.2017 |
 |
 |
 |
 |
| 05.09., 11.45 UTC |
05.09., 16.45 UTC |
05.09., 18.45 UTC |
Auge von "Irma" am 05.09. |
 |
 |
 |
 |
| 05.09., 16.52 UTC |
05.09., 16.52 UTC |
05.09., 16.45 UTC |
05.09., 18.15 UTC |
Am 06.09. blieb die Intensität von "Irma" den ganzen Tag bestehen. Dabei überquerte der Hurrikan als Kategorie 5 Sturm mit mittleren Winden von
296 km/h gleich mehrere Inseln der kleinen Antillen. Zuerst traf er die Insel Barbuda, anschließend St. Maarten und die British Virgin Islands.
Um 21 UTC wurde der tiefste Bodendruck von 914 hPa in Verbindung mit Hurrikan "Irma" gemessen. Der Wert stellte den tiefsten Bodendruck über dem
Atlantik seit Hurrikan Dean 2007 dar. Im Vergleich zu anderen Wirbelstürmen auf dem Atlantik mit ähnlicher Intensität (zum Beispiel: Wilma, 2005: 882 hPa), lag der Bodendruck
bei "Irma" deutlich höher. Das entscheidende für die hohen Windgeschwindigkeiten ist allerdings die Druckdifferenz zur Umgebung, welche bei "Irma"
aufgrund von Geopotentialanomalien im Umfeld ausgeprägter war als bei anderen atlantischen Hurrikans. Am Ende des Tages reichten
Orkanböen bis zu 169 km vom Zentrum des Hurrikans entfernt.
|
Satelliten- und Radarbilder am 6. September | Quellen: CIMSS,
Earthobservatory NASA,
GOES NASA,
UWCIMSS,
Meteo France,
Wunderground |
 |
 |
 |
 |
| 06.09., 08.45 UTC |
06.09., 12.15 UTC |
06.09., 14.35 UTC |
06.09., 19.15 UTC |
 |
 |
 |
 |
| 06.09., 05.35 UTC |
06.09., 10.45 UTC |
06.09., 15.32 UTC |
06.09., 19.45 UTC |
 |
 |
 |
 |
| 06.09., 02.00 UTC |
06.09., 05.00 UTC |
06.09., 15.30 UTC |
06.09., 21.10 UTC |
Der Wirbelsturm zog in der Folge nördlich von Puerto Rico vorbei, wobei der südliche Teil der Augenwand die Insel erfasste.
Ein leichter Anstieg im Bodendruck und damit zusammenhängend ein Abfall der Windgeschwindigkeiten
wurde am 07.09. beobachtet. Die Winde erreichten am Abend noch ca. 269 km/h, was den Hurrikan weiterhin zu einem sehr gefährlichen
Wirbelsturm machte. Ursache für die leichte Abschwächung war wahrscheinlich die Interaktion der Südseite des Hurrikans
mit der Insel Hispaniola. Dabei wurde
trockenere Luft vom Festland mit in die Zirkulation eingebunden.
Die Gewitter auf der Westseite waren zudem nicht mehr so symmetrisch wie noch an den Tagen zuvor. Ein Flug der sog. Hurrikan Hunter
stelle einen weiteren Augenwandersetzungszyklus ("Eye-wall replacement cycle") fest.
|
Satelliten- und Radarbilder am 7. September | Quellen: CIMSS,
GOES NASA
|
 |
 |
 |
 |
| 07.09., 05.00 UTC |
07.09., 10.00 UTC |
07.09., 12.15 UTC |
07.09., 18.15 UTC |
 |
 |
 |
 |
| 07.09., 03.45 UTC |
07.09., 07.45 UTC |
07.09., 12.45 UTC |
07.09., 18.45 UTC |
Die leichte Abschwächung setzte sich auch am 08.09. weiter fort. Nach einer sehr langen Zeit von über 3 Tagen als Kategorie 5,
lag "Irma" um 06 UTC mit mittleren Winden von 135 kn (250 km/h) am oberen Rand der Kategorie 4 auf der Saffir-Simpson-Skala.
Kurz davor machte "Irma" einen weiteren Landfall auf der Insel Little Inagua (Bahamas). Bis 12 UTC stieg der Bodendruck im Zentrum
weiter an, der Hurrikan reichte im Süden mit seinen Regenbändern mittlerweile über einem großen Teil der Osthälfte von Kuba.
Die neue Augenwand war ungefähr doppelt so groß wie die alte und hatte einen Durchmesser von ca. 72 m. Das Kerngebiet
mit den stärksten Gewittern nahm einen immer größer werdenden Bereich ein. Mit der neuen Augenwand legte "Irma" anschließend
wieder an Stärke zu und erreichte am Ende des Tages erneut die höchste Wirbelsturmkategorie 5. Die erneute Verstärkung ist auch auf die
sehr warmen Meeresoberflächentemperaturen zurück zu führen, die es "Irma" ermöglichten sich, während ihrer gesamten Zeit nördlich der Großen Antillen,
immer wieder zu intensivieren (trotz Interaktion mit den verschiedenen Inseln).
|
Satelliten- und Radarbilder am 8. September | Quellen: CIMSS,
GOES NASA
|
 |
 |
 |
 |
| 08.09., 07.00 UTC |
08.09., 13.15 UTC |
08.09., 16.30 UTC |
08.09., 19.15 UTC |
 |
 |
 |
 |
| 08.09., 05.45 UTC |
08.09., 10.45 UTC |
08.09., 15.45 UTC |
08.09., 19.45 UTC |
Anders als von den meisten Modellen davor prognostiziert, behielt Hurrikan "Irma" am 09.09. zunächst einen weiter westlich verlaufenden Kurs bei und
hielt sich länger entlang der kubanischen Küste auf als erwartet. Als Kategorie 5 Hurrikan traf der Wirbelsturm die vorgelagerten Inseln im Norden
von Kuba. Zu diesem Zeitpunkt erreichten die Windgeschwindigkeiten wieder 140 kn (259 km/h). Den ganzen Tag über verlagerte sich der Wirbelsturm entlang
der kubanischen Nordküste, die südliche Augenwand befand sich für diesen Zeitraum über dem Festland. Dadurch schwächte sich "Irma" reibungsbedingt
von einem Cat 5 zu einem Cat 3 Hurrikan mit Mittelwinden von 105 kn (194 km/h) ab.
|
Satelliten- und Radarbilder, Windfeld, SST und Shear am 9. September | Quellen: CIMSS,
GOES NASA,
INSMET
SSD NOAA
|
 |
 |
 |
 |
| 09.09., 04.45 UTC |
09.09., 05.30 UTC |
09.09., 18.45 UTC |
09.09., 19.45 UTC |
 |
 |
 |
 |
| 09.09., 06.00 UTC |
09.09., 19.10 UTC |
09.09., 18.00 UTC |
SST und Shear 09.09. |
Am 10.09. zog "Irma" von der Küste Kubas weiter nach Norden in Richtung USA. Dabei befand sich das Zentrum wieder für mehrere Stunden über dem
sehr warmen Meerwasser (> 31 °C). Dadurch intensivierte sich "Irma" noch ein letztes Mal wieder zu einem Cat 4 Hurrikan mit Mittelwinden von
115 kn (213 km/h), der Bodendruck sank auf 928 hPa. Mit dieser Stärke erreichte "Irma" am 10.09. um 13.15 UTC die Florida Keys in der Nähe von
Cudjoe Key. Daraufhin kam der Hurrikan über dem Golf von Mexiko weiter nach Norden voran und machte um 19.35 UTC in Marco Island den letzten
von insgesamt sieben Landfalls. Zu diesem Zeitpunkt war die südliche Augenwand bereits weniger gut ausgebildet. Damit verbunden
blieb die Sturmflut im Südwesten von Florida unter den zunächst erwarteten Höhen. In Naples konnte während "Irma" eine Spitzenböe von 229 km/h gemessen
werden, auf Marco Island waren es 209 km/h. In der gesamten Südhalfte Floridas gab es Orkanböen, auch weiter von Zentrum des Hurrikans entfernt lagen
die Spitzenböen teilweise weit über 120 km/h (Miami: 159 km/h; Jacksonville: 138 km/h). Aufgrund des Landfalls südlich von Naples lag die stärkere Ostflanke
von "Irma" über den weniger stark besiedelten Everglades. Die heftigsten Windböen wurden in der nördlichen Augenwand zwischen Fort Myers und Naples
verzeichnet. Nach dem Landfall schwächte sich Hurrikan "Irma" recht schnell reibungsbedingt ab. Östliche Winde nördlich des
Wirbelsturms führten entlang der Westküste (zum Beispiel in Naples) zunächst zu einem abnehmenden Wasserstand (in Naples zweitniedrigster Wert seit
52 Jahren), bevor das Wasser nach dem Durchzug des Hurrikans und der Drehung des Windes auf westliche bis südwestliche Richtungen
mit voller Wucht an die Küste gedrängt wurde (in Naples höchster Wasserstand seit 52 Jahren, Anstieg von 2,5 m in 3 Stunden).
|
Satelliten- und Radarbilder und 24-h Regenmengen am 10. September | Quellen: CIMSS,
GOES NASA,
Water Weather
|
 |
 |
 |
 |
| 10.09., 04.45 UTC |
10.09., 14.45 UTC |
10.09., 17.15 UTC |
10.09., 17.45 UTC |
 |
 |
 |
 |
| 10.09., 06.15 UTC |
10.09., 15.15 UTC |
10.09., 18.30 UTC |
24 RR bis 10.09., 12 UTC |
|
Wasserstand an der Ost- und Westküste Floridas am 10.09. | Quelle: NOAA Tides and Currents,
|
 |
 |
 |
| Naples |
Virginia Key |
Vaca Key |
Spitzenböen während Hurrikan "Irma" in den USA bis 12.09., 02 UTC
Datenquelle: WPC NOAA |
| Ort |
Böe |
Naples
Marco Island
Lely
Big Pine Key
Quail Creek Estat
North Perry Airport
Key Biscayne
Miami International Airport
Sweetwater
Cape Canaveral
Ocean Reef
Belle Meade
|
229 km/h
209 km/h
196 km/h
193 km/h
180 km/h
175 km/h
159 km/h
159 km/h
154 km/h
151 km/h
150 km/h
148 km/h
|
|
| Ort |
Böe |
Key Largo
Ochopee
Cache at Everglades
Key West
Royal Palm Ranger
Coral Gables
Ocean Reef
Southwest Florida Intl Arpt
Mayport Naval Station
Port Everglades
Deerfield Beach
Jacksonville Intl Arpt
|
148 km/h
148 km/h
146 km/h
146 km/h
146 km/h
145 km/h
143 km/h
143 km/h
140 km/h
140 km/h
138 km/h
138 km/h
|
|
Die schnelle Abschwächung nach dem Landfall führte dazu, dass "Irma" am 11.09. um 06 UTC Mittelwinde von 65 kn (120 km/h) aufwies und damit
noch als Kategorie 1 Hurrikan über dem Norden Floridas geführt wurde. Die Regengebiete lagen zu jenem Zeitpunkt über dem Norden Floridas,
sowie über Georgia und South Carolina. Die weitere Zugbahn in Richtung Nordwesten führte schließlich zu einer endgültigen Abschwächung
und die Einordnung als tropische Depression am 12.09. Abgesehen vom äußersten Nordwesten, fielen in Florida während "Irma" verbreitet zwischen 150 mm
und 250 mm an Niederschlag. Gebietsweise lagen die Regenmengen bei 250 mm bis 350 mm, örtlich kamen auch mehr als 400 mm zusammen.
Spitzenreiter war Fort Pierce im Osten des Bundesstaats mit 404,1 mm. In Jacksonville im Nordosten von Florida fielen 283,7 mm. Die
Kombination aus Sturmflut und heftigen Regenfällen sorgte hier für schwere Überschwemmungen. Auch an der Küste von Georgia
und South Carolina richtete die Sturmflut von "Irma" Schäden an. Besonders betroffen war die Stadt Charleston in South Carolina.
|
Satelliten- und Radarbilder, 24-h und 7-d Regenmengen am 11. September | Quellen: CIMSS,
GOES NASA,
Water Weather
|
 |
 |
 |
 |
| 11.09., 03.45 UTC |
11.09., 05.00 UTC |
11.09., 13.45 UTC |
11.09., 14.30 UTC |
 |
 |
 |
 |
| 11.09., 05.30 UTC |
11.09., 15.00 UTC |
24 RR bis 11.09., 12 UTC |
7-d RR bis 11.09., 12 UTC |
62-h Niederschlagsmengen bis 12.09., 02 UTC
Datenquelle: WPC NOAA |
| Ort |
Bundesstaat |
Menge |
Fort Pierce
Oviedo
Chekika
Inlikita
Gainesville
Mims
Naples
National Key Deer NWR
Cache
Starke
West Melbourne
Jacksonville
|
Florida
Florida
Florida
Florida
Florida
Florida
Florida
Florida
Florida
Florida
Florida
Florida
|
404,1 mm
374,9 mm
351,3 mm
346,2 mm
310,4 mm
307,6 mm
301,5 mm
298,2 mm
291,8 mm
287,8 mm
284,7 mm
283,7 mm
|
|
| Ort |
Bundesstaat |
Menge |
Fleming Island
Switzerland
Panther West
Ortega
University of Florida
Fort Myers Intl Arpt
St Marys Riv near Kingsland
Summerfield
Oasis Ranger Station
Okeechobee County Arpt
Fort Lauderdale Exec Arpt
Orlando/Sanford Arpt
|
Florida
Florida
Florida
Florida
Florida
Florida
Georgia
Florida
Florida
Florida
Florida
Florida
|
282,2 mm
282,2 mm
281,4 mm
279,4 mm
264,7 mm
262,4 mm
257,0 mm
255,0 mm
245,6 mm
245,1 mm
243,1 mm
239,3 mm
|
|
Auswirkungen
Als erste Insel der kleinen Antillen wurde Barbuda am 06.09. von Hurrikan "Irma" mit voller Wucht (mittlere Winde von 296 km/h) getroffen.
Noch nie hatte ein Hurrikan dieser Intensität Barbuda oder eine andere Insel der Kleinen Antillen erreicht.
Bevor das Messgerät ausfiel, registrierte eine Messstation auf der Insel Böen bis 249 km/h. Der Zustand der Insel nach dem Durchzug des
Hurrikans war katastrophal. Ca. 90 Prozent der Einrichtungen auf Barbuda trugen Schäden davon, die Insel war praktisch nicht mehr bewohnbar.
Durch umgestürzte Bäume und Strommasten fiel die Kommunikation auf der Insel aus, Straßen wurden zerstört. Neben dem extremen Wind richtete
vor allem die Sturmflut von 2,5 m Höhe in Verbindung mit dem Hurrikan große Schäden an. Ersten Schätzungen zufolge belaufen sich die Schäden
auf ca. 150 Millionen Dollar.
Antigua (südlich von Barbado) blieb von den heftigsten Windböen verschont. Dennoch gab es hier Schäden durch umgestürzte Bäume
und Strommasten, sowie durch Überschwemmungen.
Wie schon in Barbuda wütete "Irma" am 06.09. auch auf St. Barthelemy, sowie auf den Inseln St. Martin und St. Maarten als Kategorie 5 Hurrikan.
Auf St. Barthelemy kam es zu schweren Verwüstungen durch Sturm und Überflutungen.
Hier wurden Dächer durch den Wind herausgerissen, die Stromversorgung war durch den Hurrikan unterbrochen. Da die Feuerwehrstation
überflutet wurde, konnten keine Rettungen durchgeführt werden. Küsteneinrichtungen wurden durch den hohen Wellengang
und der Sturmflut beschädigt oder komplett zerstört. In der Hauptstadt Gustavia kam es zu Überschwemmungen, die meisten Bewohner blieben ohne
Strom, Wasserversorgung und Telefonverbindung zurück.
Auf St. Martin stand das Wasser nach der Sturmflut teilweise bis zu den Dächern der Häuser. Der Inselflughafen trug schwere Schäden davon.
Durch die Winde wurden auch hier Gebäude zum Teil vollständig zerstört, die Insel blieb nach dem Hurrikan in einem katstrophalen
Zustand zurück. Auf der niederländischen Seite der Insel (St. Maarten) zeigte sich ein ähnliches Bild. 70 % der Gebäude
wurden zerstört, die Menschen mussten sich in Notunterkünfte begeben. Mindestens 16 Menschen kamen
am 06.09. auf Barbuda, St. Barthelemy, St. Martin und St. Maarten durch den Hurrikan ums Leben.
Die britischen und amerikanischen Virgin Islands traf der Wirbelsturm ebenfalls sehr heftig. Zahlreiche Häuser und Straßen wurden durch den Hurrikan zerstört.
Auch aus Puerto Rico geb es Meldungen über Schäden, mehrere Menschen kamen hier durch den Wirbelsturm ums Leben. Haiti und die Dominikansische Republik
lagen zwar einige Kilometer vom Zentrum von "Irma" entfernt auf der Südseite. Dennoch sorgten Wind und Regen auch hier für Schäden an der Infrastruktur und überschwemmte
landwirtschaftliche Flächen. Die Turks und Caicos Inseln lagen am 07.09. auf der stärkeren Nordostflanke des Hurrikans und bekamen die volle Wucht des Hurrikans zu
spüren. Viele Häuser trugen Schäden davon, die Kommunkation auf der Insel konnte nicht aufrecht erhalten werden. Am 08.09. zog Hurrikan "Irma"
über die südlichen Inseln der Bahamas hinweg. Schäden an den Hausdächern und durch Überschwemmungen meldeten die Inseln im Anschluss.
Auch hier war die telefonische Kommunikation nach dem Wirbelsturm nicht möglich. Auf den Virgin Islands, Puerto Rico, Hispaniola den Turks und Caicos
Inseln und den Bahamas starben 8 Menschen durch den Hurrikan.
Als Hurrikan der Kategorie 5 traf "Irma" am 08.09. auf den Norden von Kuba und richtete hier schwere Schäden in Milliardenhöhe an.
Der Wirbelsturm verlagerte sich nur langsam weiter nach Nordwesten, die daraus resultierende Sturmflut zerstörte Häuser, Fabriken,
Krankenhäuser und Strandabschnitte
entlang der Nordküste Kubas. Das Wasser stand in den Küstenorten einige Meter hoch, in abgeschwächter Form traf die Sturmflut auch die
Gegend um Havanna. Mindestens 10 Menschen kamen auf Kuba durch den Wirbelsturm ums Leben.
Am 10.09. erreichte "Irma" die Florida Keys und verursachte große Schäden an Gebäuden, Straßen, der Wasserversorgung und der Stromversorgung.
Eine Gebiete wurden durch die Sturmflut überflutet. Nach dem Landfall im Südwesten von Florida kam es im gesamten Bundesstaat zu Orkanböen,
die Bäume entwurzelten und Häuser beschädigten. Über 1,5 Millionen
Haushalte waren in Florida zwischenzeitlich ohne Strom. Aufgrund der heftigen Regenfälle von verbreitet über 200 mm, traten viele Bäche und
Flüsse über die Ufer. Besonders betroffen war die Gegend um Jacksonville im Nordosten von Florida.
Der St. John River erreichte mit einer
Höhe von 5,57 feet (1,7 m) einen neuen Rekordpegelstand (45 cm über der alten Bestmarke). Auch an anderen Flüssen in der Region, wie
z.B. am New River und am Santa Fe River,
übertrafen die Pegelstände historische Rekorde. Die große Ausdehnung von Hurrikan "Irma" beim Landfall in Florida resultierte
auch in einer Sturmflut an der Küste von Georgia und South Carolina. So lag der Wasserstand in Fort Pulaski mit 3.73 m nur 5 cm unter dem
bisherigen Höchststand während Hurrikan Matthew vor einem Jahr. Schwere Überschwemmungen traten in Charleston (South Carolina auf).
Hier wurde mit 3,03 m die dritthöchste Sturmflut der Geschichte verzeichnet. In den USA starben durch Hurrikan "Irma" mindestens 38
Menschen, der Schaden beläuft sich nach ersten Schätzungen auf über 50 Milliarden Dollar.
|
Ausgewählte Pegelstände in Florida, Georgia und South Carolina während "Irma" | Quelle:
Water Weather
|
 |
 |
 |
 |
 |
 |
| St. John River |
Charleston |
Fort Pulaski |
New River |
Santa Fe River |
Ocklawaha River |
Einordnung
Die von Hurrikan "Irma" beim Entwicklungshöhepunkt erreichten Windgeschwindigkeiten von 160 kn (298 km/h)
befördern "Irma" auf den geteilten zweiten Platz aller atlantischer Hurrikans. Nur während Hurrikan "Allen" im Jahre
1980 wurden mit 306 km/h noch größere mittlere Windgeschwindigkeiten verzeichnet. Ganze 12 Jahre ist es her,
dass sich über dem Atlantik ein ähnlich starker Wirbelsturm entwickeln konnte (Hurrikan Wilma, 2005).
Ganze 37 Stunden behielt "Irma" mittlere Windgeschwindigkeiten von 295 km/h oder höher, was einen neuen Rekord
für die Dauer derartiger Intensitäten bedeutet.
Die Intensität von "Irma" beim Landfall auf den Leeward Inseln (298 km/h Mittelwind) lag weit über den bisherigen
Rekorden für Wirbelstürme in dieser Region (258 km/h). Der Landfall brachte
"Irma" zudem auf den dritten Platz der stärksten Wirbelsturm Landfalls in der Geschichte (hinter
Taifun Haiynan, 2014 und Taifun Meranti, 2016). Der tiefste Bodendruck von "Irma" lag bei 914 hPa und damit
wesentlich höher als bei Hurrikans vergleichbarer Stärke in der Vergangenheit. Dennoch war seit Hurrikan Dean im Jahre 2007
der Bodendruck in einem atlantischen Hurrikan nicht mehr auf diesen Wert gefallen.
Hurrikan "Irma" traf gerade einmal zwei Wochen nach Hurrikan "Harvey" die amerikanische Küste ebenfalls als Kategorie 4
Hurrikan. Ein Landfall in den USA von zwei Kategorie 4 Hurrikans in einem Jahr hatte es zuvor nur 1992 gegeben.
Damals waren Florida und Hawaii von den Hurrikans betroffen. Ein Landfall von zwei atlantischen Cat 4 Hurrikans in einem Jahr
gab es demnach bisher noch nicht. "Irma" blieb mehr als 8 Tage in der Kategorie der Major-Hurrikans (Cat 3 oder stärker) und
liegt damit für atlantische Hurrikans auf Platz zwei hinter Hurrikan Ivan (2004).
Text: JW 11. September 2017
|