|
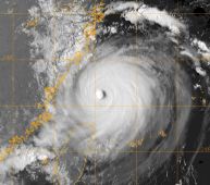
Tropische Wirbelstürme "Saomai", "Maria", "Bopha" Während auf dem Nordatlantik die Hurrikansaison zwar auch schon begonnen hat (siehe Artikel), sich aber bislang nicht sehr aktiv präsentiert, geht es auf dem westlichen Nordpazifik ungleich stürmischer zu. Im Zeitraum vom 4. bis zum 10.8. tummelten sich zeitweise gleich 3 tropische Gebilde gleichzeitig im Seegebiet zwischen Guam, Taiwan und Japan. 2 davon, "Maria" und "Saomai", ereichten Wirbelsturmstärke, "Saomai" wuchs gar zu einem Supertaifun der Kateogorie 5 heran. Als tropischer Sturm überquerte "Bopha" den Süden der Insel Taiwan und zog dann nach Westen in Richtung Hongkong. Zu größeren Schäden kam es nicht. Mit einem mittleren Wind von 65 kt (120 km/h) überschritt "Maria" geradeso die Schwelle zu einem tropischen Wirbelsturm. Allerdings hatten die Modelle große Mühe, die Zugbahn "Marias" vorherzusagen. Eigentlich hätte der Sturm südlich von Kyoto auf japanisches Festland treffen und anschließend die Insel nordwärts überqueren sollen, doch "Maria" entschied sich anders und machte kurz vor Erreichen der Küste der scharfen Schwenk nach rechts (Osten); so streifte der Sturm an der Südostküste entlang und brachte Niederschlagsmengen von immerhin über 200 mm (zB Omaezaki 229 mm), bevor er in die Weiten des Nordpazifik entschwand. "Saomai" entstand am 4.8.2006 gut 2500 Kilometer östlich der Philippinen. Er verfolgte einen stetigen Nordwestkurs und nahm kontinuierlich an Intensität zu. Der Höhepunkt der Entwicklung war ein Tag vor dem Landgang an der chinesischen Ostküste erreicht, als im Mittel die Winde mit 140 kt (259 km/h) und in Böen bis 170 kt (315 km/h) über das Wasser tobten, "Saomai" gehörte somit zur höchsten Wirbelsturmkategorie 5. Nur wenig schwächer trat der Wirbelsturm mit Kategorie 4 am 10.8.2006 auf das chinesische Festland über. "Saomai" erwies sich beim Landgang als der stärkste Taifun der letzten 50 Jahre. Der Osten der dicht besiedelten Provinz Zhejiang wird häufig von Wirbelstürmen heimgesucht, oft kommt es zu großen Evakuierungsmaßnahmen. Auch dieses Mal brachten sich rund 1 Million Einwohner in Sicherheit, dennoch forderte "Saomai" mehr als 100 Tote. Es traten erhebliche Schäden in der Landwirtschaft und an der Infrastruktur auf, die Stromversorgung war unterbrochen. Mit "Saomai" forderte bereits der 8. tropische Wirbelsturm in diesem Jahr in China Todesopfer durch Überschwemmungen, Erdrutsche und eingestürzte Häuser, die Zahl kletterte auf insgesamt über 1000. Allein im letzten Monat kamen durch den Taifun "Bilis" 637 Menschen um, danach waren durch den Taifun "Prapiroon" 80 Opfer zu beklagen. Vor rund 6 Jahren trat im nahezu gleichen Gebiet und mit derselben Intensität schon einmal ein Wirbelsturm in Erscheinung, der noch dazu denselben Namen "Saomai" erhalten hatte.
Niederschlag
|



