|
Thursday, June 19, 2025, 10:30 UTC
Issued: Thursday, June 19, 2025, 10:30 UTC
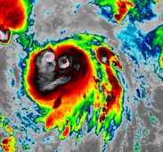
Major Hurricane ERICK is about to make landfall along the Pacific Coast of Mexico southeast of Acapulco. After a cycle of rapid intensification on June 18, 2025, Hurricane ERICK is now a category 4 hurricane with sustained winds of 220 kph and a central pressure of 940 hPa. Upon landfall, violent winds and heavy rains may cause widespread damage.
Major Hurricane ERICK formed as a tropical disturbance over the Eastern Pacific off the coast of Mexico on June 16, 2025. The system moved on a northwesterly trajectory towards the Mexican coast. The tropical disturbance reached tropical storm strength by June 17, 2025, 09 UTC. After gradual intensification, the tropical cyclone moved into a low-shear environment with very warm sea surface temperatures near the Mexican coast. From June 18, 06 UTC, to June 19, 2025, 06 UTC, the system underwent a cycle of rapid intensification. Within a 24 h period, the sustained winds of tropical cyclone ERICK increased by 135 kph/24 h from 95 kph to 230 kph. In the same period, the central pressure of the cyclone dropped by 59 hPa/24 h from 998 hPa to 939 hPa.
Thursday, June 19, 2025, 10:30 UTC KG |



