Sonntag, 29. Oktober 2006, 9:30 MEZ

|

|
Zugbahn "Cimaron"
Quelle: NRL, Monterey
|
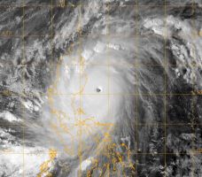
GMS6 VIS, 29.10.2006, 6:00 UTC
Quelle: US AF
|
Taifun 22W "Cimaron" - Warnung
Warnung, 29.10.2006, 9:30 MEZ
Mit größerer Intensität noch als gestern prognostiziert bewegt sich der Taifun
auf die Philippinen zu. Der Entwicklungshöhepunkt von "Cimaron" wird heute erreicht, im
Mittel weht der Wind dann mit 130 kt (241 km/h) und in Böen mit 160 kt (296 km/h).
Heute Abend trifft der Wirbelsturm mit voller Wucht auf die Ostküste Luzons,
dort sind erhebliche Schäden durch Sturm, Überschwemmungen und Erdrutsche zu befürchten.
Taifun 22W "Cimaron" - Warnung
Warnung, 28.10.2006, 22:30 MESZ
Während die Wirbelsturmsaison auf dem Atlantik ruhig verläuft,
bedroht auf dem nördlichen Westpazifik erneut ein Taifun
die Inselgruppe der Philippinen.
"Cimaron" heißt der Wirbelsturm, er wird sich in den nächsten Stunden noch
etwas verstärken und dann Mittelwinde von 105 kt (194 km/h) und
Böen bis 130 kt (241 km/h) aufweisen.
Mit einer Verlagerungsgeschwindigkeit von knapp 20 km/h
in Richtung Westnordwest trifft er morgen auf Luzon, die nördliche
Hauptinsel der Philippinen. Dort sind
Schäden durch Überschwemmungen und Erdrutsche zu befürchten.
|